Save
Ask
Tour
Hide
$420,000
New Listing
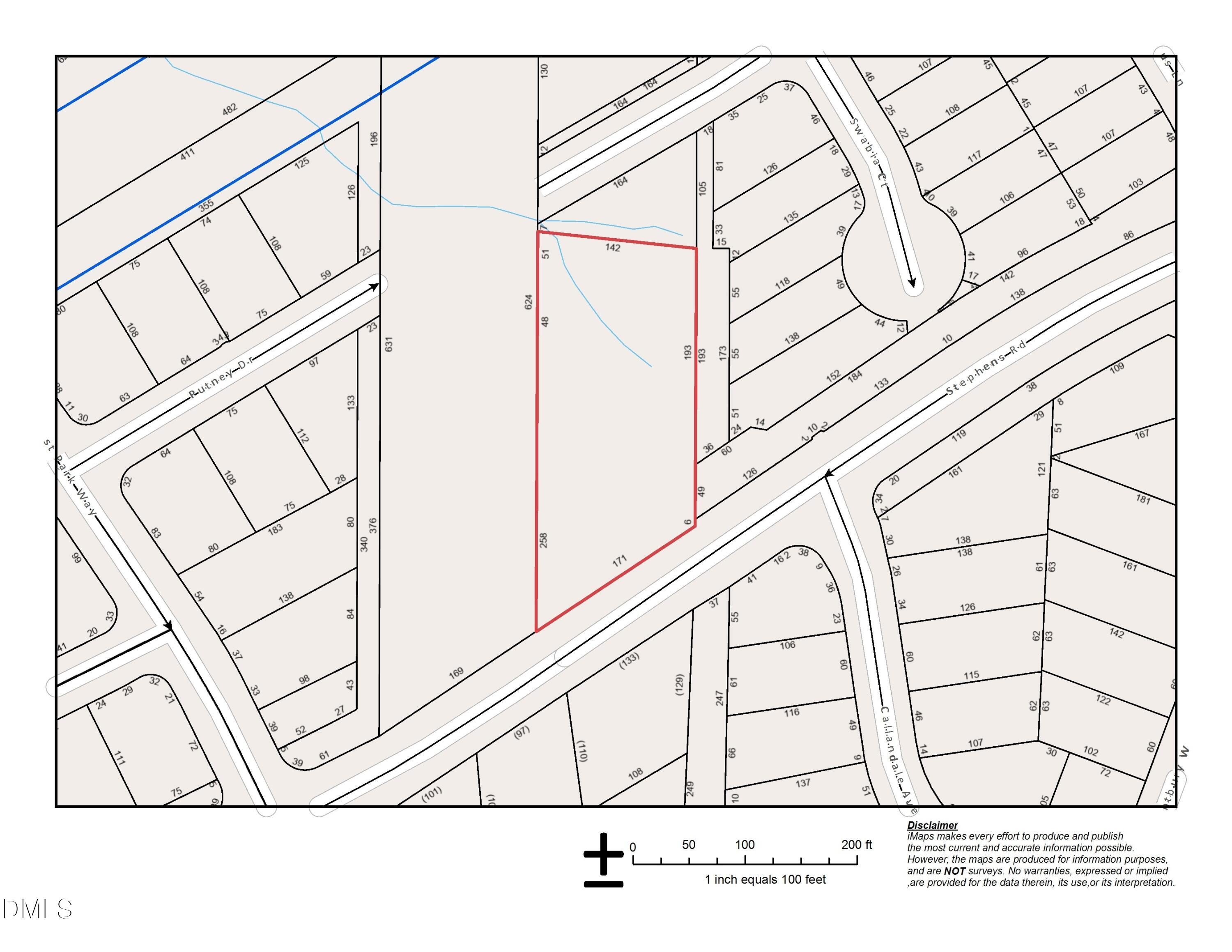
2210 Stephens RoadCary, NC 27518
For Sale|Ranch|Active
0
Beds
0
Total Baths
Subdivision:
Not in a Subdivision
County:
Wake




Save
Ask
Tour
Hide
Incredible opportunity to build in Cary on wooded 1 acre lot or down the line subdivide to 3 road front lots or subdivision of 5-7 with either the R8-cu or TR-cu zoning. All could potentially be acceptable to Cary with review. The house on property has potential as rental while you get you plans together. Water and sewer is in front of the property and would need to be connected if a new home is built. Currently on well and septic. Owners live in the home and have pets, so do not walk property without permission. For zoning questions call Development Liaison Supervisor Planning & Development Services Town of Cary (919) 469-4336 [email protected]
Save
Ask
Tour
Hide
Listing Snapshot
Price
$420,000
Days On Site
0 Days
Bedrooms
N/A
Inside Area (SqFt)
N/A
Total Baths
N/A
Full Baths
N/A
Partial Baths
N/A
Lot Size
0.98 Acres
Year Built
N/A
MLS® Number
10145124
Status
Active
Property Tax
$3,821.09
HOA/Condo/Coop Fees
N/A
Sq Ft Source
N/A
Friends & Family
Recent Activity
| 2 hours ago | Listing updated with changes from the MLS® | |
| 3 hours ago | Listing first seen on site |
General Features
Acres
0.98
Additional Property Use
Residential
Property Sub Type
Ranch
Sewer
Private SewerPublic Sewer
Special Circumstances
Standard
Utilities
Electricity ConnectedNatural Gas AvailableSewer AvailableWater Available
Water Source
PrivatePublicWell
Zoning
r40
Save
Ask
Tour
Hide
Exterior Features
Fencing
None
Lot Features
WoodedBack YardFront YardSplit Possible
Other Structures
Barn(s)Mobile HomeOutbuildingResidenceShed(s)
Community Features
Community Features
None
Financing Terms Available
CashConventional
Horse Property
None
Roads
Asphalt
School District
https://osageo.wcpss.net/assignment-lookup/
Schools
School District
https://osageo.wcpss.net/assignment-lookup/
Elementary School
Wake - Dillard
Middle School
Wake - Dillard
High School
Wake - Athens Dr
Listing courtesy of Rick Mangrum of Choice Residential Real Estate
Listings that are marked with an icon are provided courtesy of the Triangle MLS, Inc. of North Carolina, Internet Data Exchange Database. Copyright 2026 Triangle MLS, Inc. of North Carolina. All rights reserved.
Last checked: 2026-02-06 09:18 PM UTC
Listings that are marked with an icon are provided courtesy of the Triangle MLS, Inc. of North Carolina, Internet Data Exchange Database. Copyright 2026 Triangle MLS, Inc. of North Carolina. All rights reserved.
Last checked: 2026-02-06 09:18 PM UTC
Neighborhood & Commute
Source: Walkscore
Save
Ask
Tour
Hide

Did you know? You can invite friends and family to your search. They can join your search, rate and discuss listings with you.